Стартап Farsight Vision, що базується в Україні, отримав 7,2 млн євро від європейських інвесторів завдяки підтримці платформи Brave1. Про це повідомив Міністерство цифрової трансформації України.
Компанія, яка є частиною Brave1, розробляє інструменти штучного інтелекту для військової розвідки, що допомагають військовим приймати швидкі рішення на полі бою.
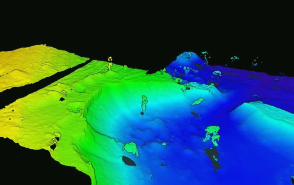
Ця платформа аналізує дані про місцевість і в режимі реального часу надає інформацію операторам БПЛА та НРК, створюючи точну картину ситуації на фронті. У Мінцифри вважають, що це технологічна альтернатива супутниковій розвідці.
"Залучення інвестицій українськими стартапами від глобальних компаній свідчить про довіру до наших технологій і підтверджує, що Україна стає лідером у сучасних військових технологіях", - йдеться в повідомленні.
Згідно з інформацією Мінцифри, отримані кошти Farsight Vision будуть використані для розвитку роботизованих рішень у сфері логістики, навігації та управління озброєнням, а також для покращення захисту поля бою та критичної інфраструктури за допомогою ШІ.
Команда компанії має на меті інтегрувати свої розробки в єдину систему для підвищення автономії бойових безпілотників. Це рішення охоплює розвідку, формування цілей з координатами, передачу цілей ударним дронам та навігацію в кінцевій стадії польоту.
Згідно з Defender Media, інвестиційний раунд очолили компанія Axon Enterprise та естонський SmartCap Defence Fund. Також у процесі взяли участь польський Radix Ventures, швейцарський Anker Capital і данський Final Frontier. Естонський фонд Darkstar, один із перших інвесторів Farsight Vision, також зробив повторну інвестицію у стартап.
Рішення Farsight Vision дозволяють в реальному часі перетворювати зображення з дронів на 3D-моделі та ортофотоплани з вбудованим виявленням об'єктів і відстеженням аномалій, навіть без GNSS, а також інтегруються з системами управління боєм, мобільними застосунками, симуляторами та VR-інструментами.
